
O leilão já está em andamento, você deve entrar no auditório para enviar lances!
Participar do LeilãoAquele que tentar fraudar a arrematação, além da reparação do dano na esfera cível - arts. 186 e 927 do Código Civil - ficará sujeito às penalidades do artigo 358 do Código Penal:
Art. 358 - Impedir, perturbar ou fraudar arrematação judicial; afastar ou procurar afastar concorrente ou licitante, por meio de violência, grave ameaça, fraude ou oferecimento de vantagem:
Pena - detenção, de 2 (dois) meses a 1 (um) ano, ou multa, além da pena correspondente à violência.
A descrição dos bens é uma cópia fiel das informações fornecidas pelos cartórios, comitente ou outro órgão responsável. Reservamo-nos o direito de corrigir possíveis erros de digitação. Os bens são vendidos no estado que se encontram, cabendo ao interessado pesquisar e confirmar suas características. As imagens são meramente ilustrativas e podem não representar a real situação do bem.
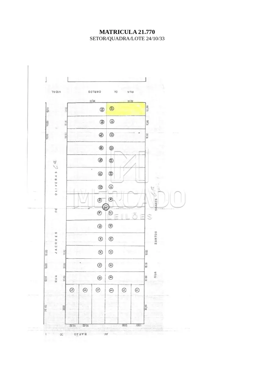
IMÓVEL URBANO composto de um terreno, situado nos subúrbios da cidade de Santana do Livramento, no lugar denominado Bairro Industrial, designado pelo lote nº 33, medindo 10m de frente por 30m de frente a fundos por ambos os lados, totalizando 300m². Inscrito sob a matrícula nº 21.770 do CRI de Santana do Livramento. Valor Avaliação: R$ 50.000,00 (cinquenta mil reais) Valor mínimo: R$ 25.000,00 (vinte e cinco mil reais)
Não foram ofertados lances para este lote. Faça seu lance e seja o primeiro!
JUSTIÇA CÍVEL DE SANTANA DO LIVRAMENTO
TER - 02/12/2025
14h00min
PRESENCIAL E ONLINE