LOTE 001

favorite_border

Lote composto pelos lotes 002, 003, 004 e 005

LANCE INICIAL
R$ 100.000,00
SEJA O PRIMEIRO A ENVIAR UM LANCE
COMISSÃO
R$ 6.000,00
6%
LANCE INICIAL 1º LEILÃO

R$ 200.000,00

LANCE INICIAL 2º LEILÃO

R$ 100.000,00

INCREMENTO MÍNIMO

R$ 500,00

error_outline IMPORTANTE - SOBRE A DESCRIÇÃO DOS BENS

A descrição dos bens é uma cópia fiel das informações fornecidas pelos cartórios, comitente ou outro órgão responsável. Reservamo-nos o direito de corrigir possíveis erros de digitação. Os bens são vendidos no estado que se encontram, cabendo ao interessado pesquisar e confirmar suas características. As imagens são meramente ilustrativas e podem não representar a real situação do bem.

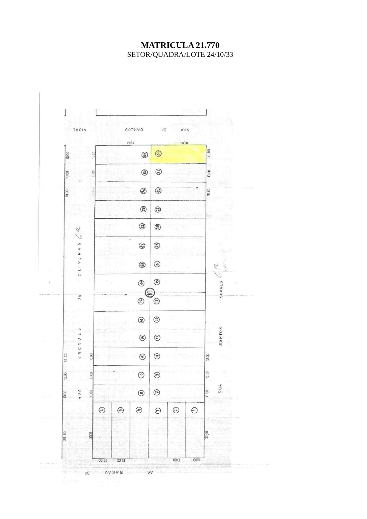
Soma dos lotes: Lote 02: IMÓVEL URBANO composto de um terreno, situado nos subúrbios da cidade de Santana do Livramento, no lugar denominado Bairro Industrial, designado pelo lote nº 13, medindo 10m de frente por 30m de frente a fundos por ambos os lados, totalizando 300m². Inscrito sob a matrícula nº 21.648 do CRI de Santana do Livramento. Valor Avaliação: R$ 50.000,00 (cinquenta mil reais) Valor mínimo: R$ 25.000,00 (vinte e cinco mil reais) Lote 03: IMÓVEL URBANO composto de um terreno, situado nos subúrbios da cidade de Santana do Livramento, no lugar denominado Bairro Industrial, designado pelo lote nº 33, medindo 10m de frente por 30m de frente a fundos por ambos os lados, totalizando 300m². Inscrito sob a matrícula nº 21.770 do CRI de Santana do Livramento. Valor Avaliação: R$ 50.000,00 (cinquenta mil reais) Valor mínimo: R$ 25.000,00 (vinte e cinco mil reais) Lote 04: IMÓVEL URBANO composto de um terreno, situado nos subúrbios da cidade de Santana do Livramento, no lugar denominado Bairro Industrial, designado pelo lote nº 12, medindo 10m de frente por 30m de frente a fundos por ambos os lados, totalizando 300m². Inscrito sob a matrícula nº 21.916 do CRI de Santana do Livramento. Valor Avaliação: R$ 50.000,00 (cinquenta mil reais) Valor mínimo: R$ 25.000,00 (vinte e cinco mil reais) Lote 05: IMÓVEL URBANO composto de um terreno, situado nos subúrbios da cidade de Santana do Livramento, no lugar denominado Bairro Industrial, designado pelo lote nº 31, medindo 10m de frente por 30m de frente a fundos por ambos os lados, totalizando 300m². Inscrito sob a matrícula nº 21.961 do CRI de Santana do Livramento. Valor Avaliação: R$ 50.000,00 (cinquenta mil reais) Valor mínimo: R$ 25.000,00 (vinte e cinco mil reais)

Nenhum lance ainda

Não foram ofertados lances para este lote. Faça seu lance e seja o primeiro!

Número do Processo 5000257-54.2010.8.21.0025
Vara Judicial Não Informado
Juiz Responsável Não Informado
Tipo de Ação Não Informado
Parte Exequente
Não Informado
Parte Executada
Não Informado
Edital

Arquivo PDF - 0.4 MB

Matrícula Nº 21.648

Arquivo PDF - 0.1 MB

Matrícula Nº 21.770

Arquivo PDF - 0.1 MB

Matrícula Nº 21.916

Arquivo PDF - 0.1 MB

Matrícula Nº 21.961

Arquivo PDF - 0.1 MB

Leilão

JUSTIÇA CÍVEL DE SANTANA DO LIVRAMENTO

Data do Leilão

TER - 09/12/2025

14h00min

Modalidade

PRESENCIAL E ONLINE

×
100%