LOTE 002 - IMÓVEL URBANO composto de um terreno, situado nos subúrbios da cidade de Santana do Livramento, no lugar denominado Bairro Industrial, designado pelo lote nº 13, medindo 10m de frente por 30m de frente a fundos por ambos os lados, totalizando 300m². Inscrito sob a matrícula nº 21.648 do CRI de Santana do Livramento.
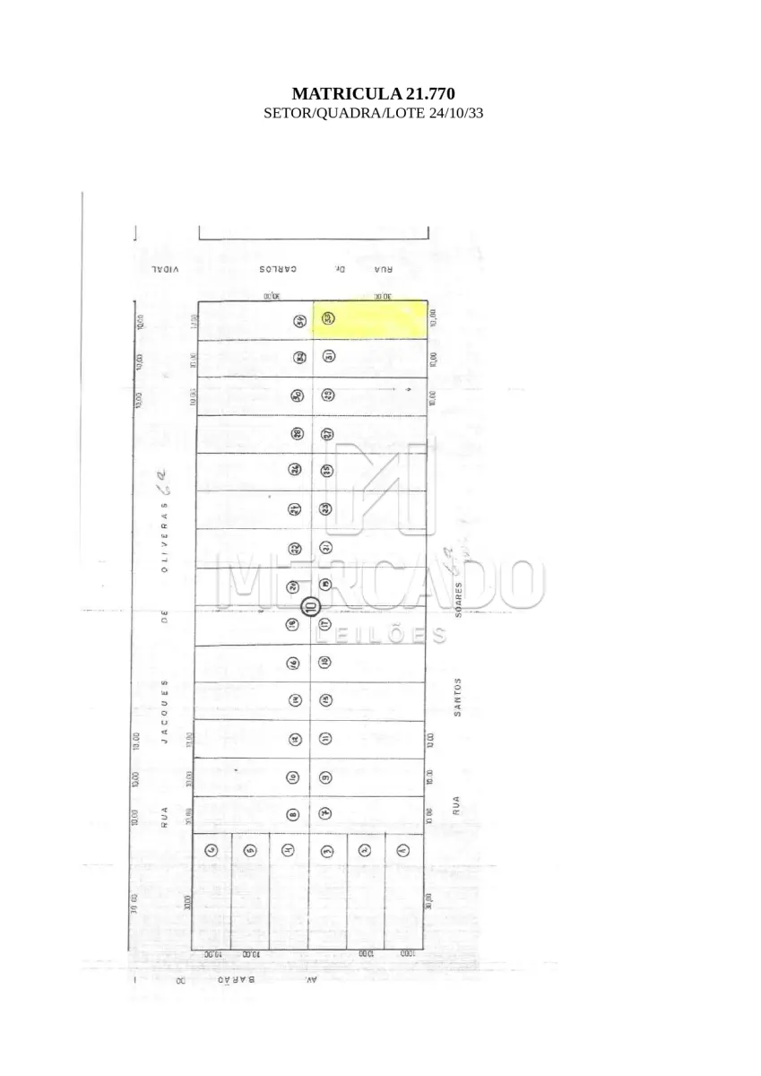
LOTE 003 - IMÓVEL URBANO composto de um terreno, situado nos subúrbios da cidade de Santana do Livramento, no lugar denominado Bairro Industrial, designado pelo lote nº 33, medindo 10m de frente por 30m de frente a fundos por ambos os lados, totalizando 300m². Inscrito sob a matrícula nº 21.770 do CRI de Santana do Livramento.
LOTE 004 - IMÓVEL URBANO composto de um terreno, situado nos subúrbios da cidade de Santana do Livramento, no lugar denominado Bairro Industrial, designado pelo lote nº 12, medindo 10m de frente por 30m de frente a fundos por ambos os lados, totalizando 300m². Inscrito sob a matrícula nº 21.916 do CRI de Santana do Livramento.
LOTE 005 - IMÓVEL URBANO composto de um terreno, situado nos subúrbios da cidade de Santana do Livramento, no lugar denominado Bairro Industrial, designado pelo lote nº 31, medindo 10m de frente por 30m de frente a fundos por ambos os lados, totalizando 300m². Inscrito sob a matrícula nº 21.961 do CRI de Santana do Livramento.
LOTE 006 - IMÓVEL URBANO composto por um terreno, medindo 10,9m de frente, com 22m de frente a fundos por ambos os lados e 10,9m de fundos, totalizando a área de 239,80m². Encontra-se no terreno um prédio de alvenaria com área total construída de 233,87m², sendo 142,89m² de residência propriamente dita (térreo) e 90,98m² de área de subsolo, designada pelo nº 1544 da Rua General Câmara, cidade de Santana do Livramento/RS. Inscrita sob a matrícula nº 30.505 do CRI de Santana do Livramento/RS.
LOTE 007 - UM TERRENO URBANO, situado nos subúrbios da cidade de Santana do Livramento, no lugar denominado Loteamento D Amec, designado pelo lote 164 da quadra E, medindo 14,00m de frente para a rua designada pelo nº 4, 28,00m de frente a fundos pelo lado direito, 31,30m de frente a fundos pelo lado esquerdo, totalizando a área de 196,00m². Inscrito sob a matrícula nº 34.877 do CRI de Santana do Livramento/RS.
LOTE 008 - IMÓVEL URBANO composto por uma casa de alvenaria, com 75,50m² de área construída, com todas as suas dependências, localizada na Rua Vigário Jobim nº 116, e seu respectivo terreno, medindo 7,40m de frente por 23,00m de frente a fundos, e 6,50m de largura nos fundos, totalizando a área de 159,85m². Inscrito sob a matrícula nº 33.616 do CRI de Santana do Livramento/RS.
LOTE 009 - Um terreno, situado na Rua João Manoel, medindo 7,00m de frente para a referida rua, pelo lado esquerdo medindo 12,00m, seguido de uma saliência de 2,00m, continuando em direção ao fundo com uma linha inclinada de 27,70m, fazendo uma nova inclinação de de mais de 7,00m, finalizando com outra linha reta de 9,50m, lindando com os lotes 13, 38, 10, 08, 07, 46 e 05, pelo lado direito mede 46,50, seguido de uma saliência de 15,00m, seguindo de uma linha reta em direção ao fundo de 2,00m, lindando com os lotes 34 e 35, na face dos fundos mede 30,00m e linda com os lotes 06, 09 e 14, perfazendo a área total de 654,36m². Inscrito sob a matrícula nº 34.914 do CRI de Santana do Livramento.
🍪 Nosso site utiliza cookies e outras tecnologias semelhantes para melhorar a sua experiência, ao continuar navegando, você concorda com as condições de nossa Política de Privacidade